Nam sinh vùng cao giành học bổng tiến sĩ toàn...
8 cách tiết kiệm tiền đơn giản ai cũng có...
Ông Trump ca ngợi cuộc hội đàm với ông Tập...
Đi khám miễn phí, hai người phát hiện nghi ung...
5 phim Việt 'chết oan' vì diễn viên - ca...
Người dân phản ánh quy định về chuyển viện BHYT...
Nhiều dấu hiệu vi phạm quyền lợi người tiêu dùng...
Tạm hoãn xuất cảnh do nợ thuế - Những điều...
Chung cư tái định cư phải dành 1/3 diện tích...
Mở rộng “cao tốc vốn” cho giai đoạn tăng trưởng...
Ám ảnh 'mình là gánh nặng', nhiều bệnh nhân ung...
Nam sinh vùng cao giành học bổng tiến sĩ toàn...
8 cách tiết kiệm tiền đơn giản ai cũng có...
Ông Trump ca ngợi cuộc hội đàm với ông Tập...
Đi khám miễn phí, hai người phát hiện nghi ung...
5 phim Việt 'chết oan' vì diễn viên - ca...
Người dân phản ánh quy định về chuyển viện BHYT...
Nhiều dấu hiệu vi phạm quyền lợi người tiêu dùng...
Tạm hoãn xuất cảnh do nợ thuế - Những điều...
Chung cư tái định cư phải dành 1/3 diện tích...
Mở rộng “cao tốc vốn” cho giai đoạn tăng trưởng...
Ám ảnh 'mình là gánh nặng', nhiều bệnh nhân ung...
Tin mới
Hàng trăm khách trễ chuyến vì phi công đánh nhau với tiếp viên
Cuộc tranh cãi nổ ra trên chuyến bay từ Lahore (Ấn Độ) đến London (Anh) là nguyên nhân khiến máy bay khởi hành trễ 3 tiếng.
17/09/2018 22:27:14
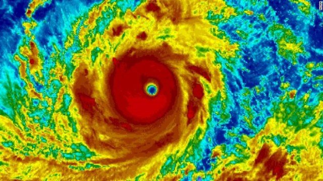
Hàng không hủy chuyến, sân bay đóng cửa tránh bão số 6 - Mangkhut
Nhiều chuyến bay từ Việt Nam đi Quảng Châu, Hong Kong phải hủy đến khi bão tan, một số chuyến nội địa đến Hải Phòng, Điện Biên cũng tạm hoãn để đảm bảo an toàn.
17/09/2018 15:40:37
Cục Hàng không Việt Nam yêu cầu khẩn cấp ứng phó với siêu bão Mangkhut
Cục Hàng không Việt Nam yêu cầu cảng vụ hàng không miền Bắc liên tục nắm thông tin, theo dõi chặt chẽ diễn biến của bão để có biện pháp ứng phó kịp thời, đặc biệt lưu ý siêu bão Mangkhut.
14/09/2018 17:29:07
Hơn 56.000 tỷ đồng đầu tư nâng cấp các cảng hàng không
Ngoài sân bay Long Thành xây mới, 16 cảng hàng không, sân bay trên cả nước sẽ được đầu tư nâng cấp hoặc mở rộng.
30/08/2018 18:31:35
Bà Nguyễn Thị Phương Thảo: Cần trao nhiều cơ hội hơn cho kinh tế tư nhân
Nữ tỷ phú USD đầu tiên của Việt Nam kỳ vọng Chính phủ trao nhiều cơ hội hơn cho khu vực kinh tế tư nhân.
27/07/2018 18:09:25
Thương vụ tỷ đô chấn động thị trường hàng không Việt?
Các nguồn tin cho biết, chi tiết chính thức sẽ được công bố trong giai đoạn cuối tháng Sáu tới khi một hãng hàng không Việt Nam và Tập đoàn Boeing chính thức ký kết thỏa thuận tại Thủ đô Washington DC, Mỹ.
14/06/2018 20:44:30
Chuyện chưa biết về vụ tai nạn hàng không thảm khốc nhất lịch sử
Mặc dù xác suất xảy ra rất thấp so với những phương tiện giao thông khác như xe hơi, xe lửa, tàu biển… nhưng tai nạn hàng không luôn để lại hậu quả rất nặng nề mà gần đây nhất, một máy bay Boeing 737 của Cuba với 113 hành khách đã bị rơi, chỉ 3 người sống sót.
04/06/2018 00:58:15
Kết thúc tìm kiếm máy bay mất tích MH370 nhưng bí ẩn vẫn còn lại mãi
Hôm qua (28/5), hãng hàng không Malaysia Airlines đã kết thúc cuộc tìm kiếm chiếc máy bay mất tích mang số hiệu MH370 sau 90 ngày thăm dò ở Ấn Độ Dương.
30/05/2018 23:15:55
TP.HCM: Gần 7.000 kiện hàng “vô chủ”, hải quan thông báo nhưng không ai đến nhận
Theo thống kê, TP.HCM hiện có gần 400 container và trên 6.800 kiện hàng nhập khẩu không có người nhận đang tồn đọng tại các cửa khẩu cảng biển, cảng hàng không.
30/05/2018 23:52:31
Thay chậm hủy chuyến thành chưa đúng giờ: Ai thích mập mờ?
Nghĩa của hai cụm từ "chậm hủy chuyến" và "bay chưa đúng giờ" khác nhau rất xa nhưng không hiểu sao vẫn được dùng thay thế cho nhau.
29/05/2018 16:39:36
Chiến dịch tìm kiếm MH370 kéo dài 4 năm sắp kết thúc: Số phận chiếc máy bay vẫn còn là bí ẩn
Chiến dịch tìm kiếm chiếc máy bay mang số hiệu MH370 mất tích sẽ kết thúc vào tuần tới sau hơn 4 năm, với chi phí hàng trăm triệu USD.
24/05/2018 18:02:22
10 vụ bắt cóc máy bay nổi tiếng lịch sử hàng không
Các vụ không tặc bắt cóc máy bay chở khách đã trở nên phổ biến hơn trong những thập kỷ gần đây cùng với sự tăng trưởng chóng mặt của ngành hàng không. Dưới đây là 10 vụ không tặc bắt cóc máy bay nổi tiếng lịch sử hàng không:
15/05/2018 17:15:12
Lái xe taxi hất nhân viên sân bay lên capô bị bắt
Với hành vi lăng mạ nhân viên an ninh sân bay Nội Bài và hất anh này lên nắp capô, tài xế taxi đã bị truy cứu trách nhiệm hình sự.
09/05/2018 15:38:28
Hàng không tư nhân: Tham vọng ngàn tỷ ồn ào bầu trời Việt
Sau Vietjet Air, Bamboo Airways là hãng hàng không thứ ba đang chuẩn bị ra nhập thị trường, hứa hẹn cuộc cạnh tranh khốc liệt trên bầu trời Việt trong thời gian tới.
27/04/2018 07:57:45
Hành khách hoảng loạn khi chứng kiến cửa sổ máy bay rụng xuống khiến 3 người bị thương
Thời điểm xảy ra sự việc, trên chuyến bay có 240 hành khách, tất cả đều sợ hãi và căng thẳng tột độ.
24/04/2018 23:08:19
7 hãng hàng không nào có tiếp viên xinh đẹp nhất trên thế giới?
Từ chiều cao đến trang phục, nụ cười hay nét thanh lịch, quyến rũ, mỗi khía cạnh của tiếp viên đều đại diện cho hãng hàng không mà họ phục vụ.
09/04/2018 13:00:54
Video nhân viên sân bay Nhật Bản lau từng vali cho khách gây sốt
Video quay tại một sân bay Nhật Bản đã được xem hàng nghìn lần trên mạng.
05/04/2018 00:06:24
Vì sao hàng không đồng loạt tăng phí dịch vụ
Việc tăng phí ngay trước mùa cao điểm du lịch được các hãng hàng không cho là "điều chỉnh nhỏ" nhưng đã gây bị động cho không ít người.
03/04/2018 13:00:23
Đi du lịch nhất định bạn phải biết những sự thật này về máy bay
<p><strong><strong>Những sự cố là điều không thể lường trước trên các chuyến bay. Và nếu bạn thường xuyên đi du lịch bằng máy bay thì nên biết những sự thật dưới đây để tinh thần không quá hoảng sợ.</strong></strong></p>
29/03/2018 05:00:04
Hãng hàng không, sân bay đổ lỗi lẫn nhau về máy bay rơi ở Nepal
Hãng hàng không Bangladesh và sân bay Nepal đổ lỗi cho nhau về vụ máy bay trượt đường băng, bốc cháy, làm ít nhất 49 người chết.
13/03/2018 15:13:58
Bài đọc nhiều
Bé trai sinh non, bị bỏ rơi hơn 1 tháng ở bệnh viện được người nhà đón về
Xác định 9 đội tuyển châu Á dự World Cup U17 2026: U17 Việt Nam lần đầu có tên
U17 Việt Nam thắng UAE 3-2: Thủng lưới giây 16, ngược dòng dự World Cup
Nhà khoa học cảnh báo nguy cơ làn sóng tổn thương não liên quan COVID-19
Cậu bé 14 tuổi kiếm mỗi năm 50.000 USD