Bờ biển Đà Nẵng tan hoang sau bão
Thời sự - 30/10/2020 10:15
Hàng dừa, phi lao, bờ kè bị gió quật ngã, nhiều công trình công cộng ở các bãi tắm Phước Mỹ, Phạm Văn Đồng... hư...
Đi vận động dân tránh bão số 9, hai cán bộ ở Quảng Nam bị núi lở vùi mất tích
Thời sự - 28/10/2020 22:03
Trong lúc đi vận động người dân đến nơi an toàn tránh bão số 9, 2 người cán bộ xã Phước Lộc (huyện Phước Sơn,...
Cảnh sát nấu cơm phục vụ miễn phí dân sơ tán và tài xế mắc kẹt do bão số 9
Thời sự - 28/10/2020 21:59
Ngoài việc giúp dân chẳng chống, nhà cửa lực lượng thuộc Trung Đoàn Cảng sát cơ động Trung Bộ còn nấu cơm miễn phí cho...
Cầu bị cuốn trôi, hàng nghìn người dân bị cô lập ở Kon Tum
Thời sự - 28/10/2020 21:56
Do ảnh hưởng của bão số 9, mưa lớn kéo dài khiến mực nước lũ trên sông dâng cao làm cây cầu dân sinh xã...
Cấp cứu 8 người bị thương do bão
Thời sự - 28/10/2020 21:51
Bệnh viện Đa khoa tỉnh Bình Định tiếp nhận 8 ca cấp cứu trong bão Molave ngày 28/10, trong đó ba người chấn thương nặng.
Tây Nguyên thiệt hại khi bão Molave quét qua
Thời sự - 28/10/2020 21:46
Không chịu ảnh hưởng trực tiếp bởi bão Molave, song mưa lớn, gió mạnh làm ngập, gây sạt lở, cuốn trôi cầu khiến hàng nghìn...
Hơn 56.000 ngôi nhà tốc mái do bão Molave
Thời sự - 28/10/2020 21:41
Cơn bão Molave hoành hành Nam Trung Bộ suốt 7 tiếng đã gây thiệt hại nặng nề về tài sản cho người dân, trong đó...
Huy động máy bay tìm kiếm 26 ngư dân mất tích
Thời sự - 28/10/2020 14:35
Ngoài tàu hải quân, Bộ Quốc phòng cũng điều máy bay tìm kiếm 26 ngư dân mất tích trong hai vụ chìm tàu cá bị...
Nhà dân tan hoang sau bão Molave
Thời sự - 28/10/2020 14:28
Bão Molave đổ bộ khiến nhiều nhà dân, công sở, trường học ở Quảng Ngãi bị gió bão giật sập, tốc mái.
1,7 triệu hộ bị mất điện do bão Molave
Thời sự - 28/10/2020 14:18
Lưới điện 110 kV có sự cố do bão số 9 khiến hơn 1,7 triệu hộ ở 616 xã phường tại 10 tỉnh, thành miền...
Lý Sơn hứng gió cấp 13, nhiều nhà dân bị tốc mái
Xã hội - 28/10/2020 14:15
Bão Molave gây gió cấp 13 ở đảo Lý Sơn, sóng lớn cao 6 m đánh vào bờ kè quanh đảo, nhiều nhà bị tốc...
Quân đội huy động 7 trực thăng ứng phó bão Molave
Xã hội - 27/10/2020 19:15
Sư đoàn không quân 372 đang sẵn sàng 7 trực thăng để nhận lệnh lên đường cứu hộ, cứu nạn sau khi bão Molave đổ...
Ba yếu tố khiến bão Molave thành "cơn cuồng phong"
Thời sự - 27/10/2020 14:07
Không gặp chướng ngại vật, nhiệt độ nước biển ấm, không khí lạnh áp cao suy giảm... là những yếu tố khiến Molave có sức...
Bão Molave khiến hai người chết, 19 người mất tích ở Philippines
Thế giới 24h - 27/10/2020 08:57
Bão Molave khiến ít nhất hai người chết và 19 người mất tích, nhiều ngôi làng ngập trong nước lũ và gần 100.000 người dân...
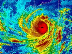
Bão Molave liên tục tăng cấp
Thời sự - 27/10/2020 08:53
Sáng 27/10, bão Molave có sức gió mạnh nhất cấp 14, cách đảo Song Tử Tây khoảng 216 km về phía Bắc Đông Bắc, hướng...
Bão Molave khiến 13 người Philippines mất tích
Thế giới 24h - 26/10/2020 16:03
Ít nhất 13 người, gồm 12 ngư dân ra khơi đánh cá bất chấp lệnh cấm do biển động, đã mất tích sau khi bão...
Bão Molave càn quét Philippines
Quốc tế - 26/10/2020 08:54
Bão Molave đổ bộ nhiều khu vực Philippines chiều qua và sáng nay, mang theo mưa lớn và gió mạnh tàn phá đến các tỉnh...
Thời tiết 26/10: Bão Molave mạnh thêm, cảnh báo mưa dông, gió mạnh
Tin hot - 26/10/2020 08:12
Bão Molave hôm nay đi vào Biển Đông gây ra sóng to, gió lớn, dự báo sẽ trở thành cơn bão số 9 ảnh hưởng...

Dự kiến đợt ngập lụt sắp tới tại Quảng Trị, Huế và Đà Nẵng tương đương năm 2020
Thứ trưởng Bộ Nông nghiệp và Môi trường dự báo sẽ có đợt ngập lụt trên diện rộng tại tỉnh Quảng Trị, TP Huế, TP...

Đề xuất thống nhất một bộ sách giáo khoa, bỏ cấp bằng tốt nghiệp THCS
Điểm mới dự thảo Luật Giáo dục quy định một bộ sách giáo khoa thống nhất toàn quốc, bỏ cấp bằng tốt nghiệp THCS, văn...

Miền Trung nguy cơ lũ lớn diện rộng, trọng tâm mưa to ở 4 tỉnh thành
Chuyên gia cảnh báo miền Trung nguy cơ xảy ra lũ lớn diện rộng, mức lũ có thể vượt báo động 3, ngày 22-23/10, mưa...

Bão Fengshen giật cấp 11 đi vào Biển Đông, còn tiếp tục mạnh thêm
Chiều nay, bão Fengshen giật cấp 11 đi vào Biển Đông, khả năng còn mạnh thêm và sẽ liên tục đổi hướng gây biển động...

Trung ương yêu cầu sắp xếp thôn, tổ dân phố trên toàn quốc trong quý 4/2025
Trung ương giao các cơ quan sắp xếp các thôn, tổ dân phố và người hoạt động không chuyên trách phù hợp với yêu cầu...