Tin hot
13/04/2026 17:55Cơn bão mạnh nhất hành tinh Sinlaku sắp đổ bộ Mỹ
Một siêu bão đang tiến thẳng về các hòn đảo của Mỹ ở Thái Bình Dương, với sức gió duy trì lên tới khoảng 180 dặm/giờ (tương đương gần 290 km/h) và gió giật có thể đạt tới 220 dặm/giờ (354 km/h). Cơn bão đang di chuyển về phía chuỗi đảo do Mỹ quản lý ở Tây Thái Bình Dương, nơi khoảng 50.000 người dân sinh sống trên các đảo Rota, Tinian và Saipan có thể phải đối mặt với 48 giờ cực kỳ nguy hiểm.

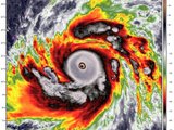
Siêu bão Sinlaku. (Ảnh: Weather Network)
Quần đảo Bắc Mariana là một lãnh thổ của Mỹ nằm cách San Francisco khoảng 9.600 km về phía tây và gần Tokyo hơn Honolulu. Người dân tại đây là công dân Mỹ và sắp phải hứng chịu cơn bão có cường độ tương đương bão cấp 4 hoặc cấp 5 rất mạnh.
Tính đến tối Chủ nhật theo giờ Thái Bình Dương, Sinlaku có thể đã đạt cường độ mạnh nhất. Mặc dù dự báo cho thấy bão sẽ suy yếu nhẹ trước khi tiếp cận khu vực, các mô hình vẫn cho thấy sức gió duy trì khoảng 249–257 km/giờ khi bão tiến vào khu vực quần đảo Mariana từ tối thứ Hai sang thứ Ba.
Trong 24 giờ qua, hướng đi của bão đã dịch chuyển lên phía bắc. Các dự báo mới nhất cho thấy cơn bão có khả năng đi gần hoặc trực tiếp qua đảo Tinian, nằm giữa Rota và Saipan. Những thay đổi nhỏ trong quỹ đạo cuối cùng của bão sẽ quyết định đảo nào phải hứng chịu phần tâm bão và gió mạnh nhất.
Các cảnh báo bão đã được ban hành cho Rota, Tinian và Saipan, trong khi đảo Guam, nơi có các căn cứ quân sự quan trọng của Mỹ, đang ở mức cảnh báo bão nhiệt đới. Các hãng hàng không đã hủy chuyến bay đến giữa tuần, trường học và cơ quan chính phủ trên các đảo đều đóng cửa, và các nơi trú ẩn đã được mở từ Chủ nhật để người dân chuẩn bị ứng phó.
Nguy hiểm từ cơn bão không chỉ đến từ gió mạnh mà còn từ lượng mưa rất lớn. Cơ quan Thời tiết Quốc gia Mỹ dự báo lượng mưa có thể đạt từ 380 đến 500 mm tại Guam và Rota, và từ 200 đến 380 mm tại Tinian và Saipan trong khoảng thời gian từ thứ Hai đến thứ Năm. Sinlaku là một cơn bão lớn, phạm vi có thể rộng tới khoảng 640 km, nên mưa lớn sẽ xảy ra ở những khu vực xa cả tâm bão. Điều này làm gia tăng nguy cơ lũ quét, dòng chảy xiết và sạt lở đất, đặc biệt tại những vùng địa hình đồi núi nơi các dải mưa có thể dừng lại trong thời gian dài.
Ngoài ra, điều kiện biển cũng sẽ trở nên rất nguy hiểm, với sóng cao khoảng 4,5 mét tại các khu vực rạn san hô lộ thiên. Nước dâng do bão có thể gây ngập lụt ven biển và làm xói lở bãi biển, và tình trạng này có thể kéo dài sang nửa cuối tuần.
Theo các dữ liệu bổ sung, Sinlaku có tốc độ gió tối đa khoảng 280 km/h và áp suất trung tâm xuống tới 902 hPa, khiến nó trở thành cơn bão mạnh nhất thế giới trong năm 2026 tính đến thời điểm hiện tại. Đây cũng là xoáy thuận nhiệt đới thứ tám trong năm đạt cường độ từ cấp 3 trở lên. Bão xuất hiện vào tháng 4 là tương đối hiếm, lần gần nhất xảy ra là vào năm 2022.
So với các cơn bão trước đó, Sinlaku vẫn chưa vượt qua cơn bão mạnh nhất của năm 2025 và cũng không phải là cơn bão đầu mùa mạnh nhất từng được ghi nhận. Kỷ lục này vẫn thuộc về siêu bão Surigae năm 2021, với sức gió duy trì lên tới 305 km/h.
Dự báo cho thấy Sinlaku sẽ đi cách đảo Guam khoảng 150 km nên không đổ bộ trực tiếp vào đây, tuy nhiên Quần đảo Bắc Mariana, đặc biệt là đảo Rota, sẽ chịu ảnh hưởng trực tiếp của cơn bão. Với sức gió cực mạnh, mưa lớn, nguy cơ lũ lụt, sạt lở và nước dâng, đây được đánh giá là một hiện tượng thời tiết có khả năng gây thiệt hại nghiêm trọng trong những ngày tới.
- Con đường trở thành tỷ phú của 'thần đồng võ thuật' nổi đình đám từ 5 tuổi (29/05/26 21:05)
- Địa điểm vui chơi tránh nóng dịp Tết Thiếu nhi 1/6 tại Hà Nội (29/05/26 20:41)
- Cuộc sống ở nơi cao hơn 5.000m, người dân săn vàng để đổi đời (29/05/26 20:17)
- Con trai lỡ lời, cha đi xét nghiệm ADN và phát hiện mình 'nuôi con tu hú' 22 năm (29/05/26 20:01)
- Từng hạn chế cho dân sở hữu vàng, nay Trung Quốc thay đổi mạnh (29/05/26 19:40)
- Vì sao trung tâm Hà Nội nơi ngập úng, nơi gần như không mưa? (29/05/26 19:21)
- Vietjet và EECO Thái Lan hợp tác xây dựng trung tâm kỹ thuật MRO (29/05/26 19:05)
- Sơn Tùng M-TP hát tiếng Anh thế nào mà gây tranh cãi? (29/05/26 18:41)
- Nắng nóng 'vắt kiệt sức', nhiều người nhập viện vì rối loạn tâm thần (29/05/26 18:21)
- Chủ tịch Hiệp hội Xăng dầu khuyến cáo việc cần làm trước khi chuyển sang dùng xăng E10 (29/05/26 18:02)