Tin hot
13/04/2026 08:10Siêu bão Sinlaku đổi hướng, liệu có vào Biển Đông?
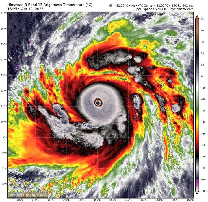
Sinlaku đã mạnh cấp siêu bão với cường độ cấp 16, giật trên cấp 17 vào tối qua (12/4). Đây là cơn bão thứ 4 hoạt động trên khu vực Tây Bắc Thái Bình Dương và là siêu bão đầu tiên hoạt động trên khu vực này trong mùa bão lũ năm nay. Sinlaku cũng là một trong số rất ít cơn siêu bão xuất hiện ngay trong tháng 4.
Sau khi mạnh lên thành siêu bão, siêu bão Sinlaku sẽ đổi hướng di chuyển lên phía Bắc, sau đó nhiều khả năng tiếp tục đổi hướng một lần nữa thành hướng Bắc Đông Bắc vào khoảng ngày 16-17/4 và di chuyển tới vùng biển phía Đông của Nhật Bản, cường độ sẽ giảm cấp dần.

Sinlaku là một trong số rất ít cơn siêu bão xuất hiện ngay trong tháng 4. (Nguồn: NCHMF)
Hiện tại, các dự báo bão đều cho thấy bão không có khả năng đi vào khu vực Biển Đông. Trung tâm Dự báo khí tượng thủy văn vẫn đang theo dõi sát diễn biến của siêu bão đầu mùa này.
Trung tâm Dự báo khí tượng thuỷ văn quốc gia nhận định, đây là cơn bão đầu tiên trong năm 2026 đạt cường độ này, đồng thời là lần đầu xuất hiện trong tháng 4 kể từ bão Surigae (2021) và chỉ là lần thứ ba kể từ năm 1977.
Sinlaku cũng là cơn bão mạnh nhất thế giới trong năm 2026 (tính đến thời điểm hiện tại), vượt qua bão Maila ở khu vực Úc.
Theo dự báo của cơ quan khí tượng, từ tháng 4-6, bão hoặc áp thấp nhiệt đới hoạt động trên khu vực Biển Đông và ảnh hưởng trực tiếp đến đất liền tương đương trung bình nhiều năm (trung bình nhiều năm trên Biển Đông 1,8 cơn, đổ bộ vào đất liền 0,3 cơn).
Trong 3 tháng tiếp theo (tháng 7-9), hoạt động của bão hoặc áp thấp nhiệt đới trên Biển Đông và đổ bộ vào đất liền nước ta cũng ở mức tương đương trung bình nhiều năm với 6,5 cơn trên Biển Đông, đổ bộ vào đất liền 2,9 cơn.
Các đợt mưa vừa, mưa to có khả năng xuất hiện ở Bắc Bộ, Bắc Trung Bộ, cao nguyên Trung Bộ và Nam Bộ trong thời kỳ dự báo, nguy cơ gia tăng các hiện tượng thời tiết cực đoan như dông, lốc, sét, mưa đá và gió giật mạnh trên cả nước.
- Con đường trở thành tỷ phú của 'thần đồng võ thuật' nổi đình đám từ 5 tuổi (29/05/26 21:05)
- Địa điểm vui chơi tránh nóng dịp Tết Thiếu nhi 1/6 tại Hà Nội (29/05/26 20:41)
- Cuộc sống ở nơi cao hơn 5.000m, người dân săn vàng để đổi đời (29/05/26 20:17)
- Con trai lỡ lời, cha đi xét nghiệm ADN và phát hiện mình 'nuôi con tu hú' 22 năm (29/05/26 20:01)
- Từng hạn chế cho dân sở hữu vàng, nay Trung Quốc thay đổi mạnh (29/05/26 19:40)
- Vì sao trung tâm Hà Nội nơi ngập úng, nơi gần như không mưa? (29/05/26 19:21)
- Vietjet và EECO Thái Lan hợp tác xây dựng trung tâm kỹ thuật MRO (29/05/26 19:05)
- Sơn Tùng M-TP hát tiếng Anh thế nào mà gây tranh cãi? (29/05/26 18:41)
- Nắng nóng 'vắt kiệt sức', nhiều người nhập viện vì rối loạn tâm thần (29/05/26 18:21)
- Chủ tịch Hiệp hội Xăng dầu khuyến cáo việc cần làm trước khi chuyển sang dùng xăng E10 (29/05/26 18:02)